11月28日
银川市人民政府网站发布
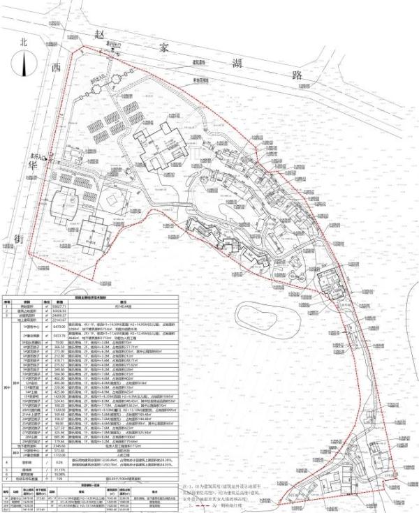
银川市兴庆区掌政镇上河堡文化旅游综合体一期项目总平面图

银川
将新建一处文化旅游综合体
项目概况
上河堡文化旅游综合体项目位于兴庆区掌政镇西华街以东、赵家湖路以南,一期规划用地面积93627.71平方米,总建筑面积24489.27平方米,其中地上22143.67平方米,地下2345.60平方米,容积率0.26,建筑密度18.08%,绿地率31.15%,机动车停车位159个。





建设内容
该项目规划拟建共25栋楼,其中旅馆用地性质建筑4栋,娱乐用地性质建筑21栋。
(点击可看大图)

项目地址:兴庆区掌政镇西华街以东、赵家湖路以南
公示单位:银川市自然资源局
公示时间:2023年11月28日至2023年12月6日
综合:银川市人民政府网站 银川发布
点击右上角
微信好友
朋友圈

点击浏览器下方“
”分享微信好友Safari浏览器请点击“
”按钮

点击右上角
QQ

点击浏览器下方“
”分享QQ好友Safari浏览器请点击“
”按钮
