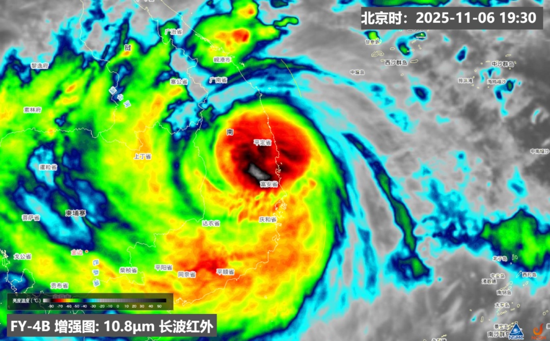
今年第25号台风“海鸥”(强台风级)的中心
已于11月6日晚上7点35分前后
在越南嘉莱省归仁市附近沿海登陆
登陆时中心附近最大风力14级(42米/秒)
中心最低气压955百帕

登陆后
“海鸥”强度将逐渐减弱

台风“海鸥”外围云系
11月8日夜间至10日白天
将影响云南东部和南部地区
南部局地有暴雨
需加强防范局地强降雨
可能引发的山洪灾害和地质灾害
中东部、南部清晨局地有大雾
需防范清晨大雾天气
造成的低能见度对交通运输的影响
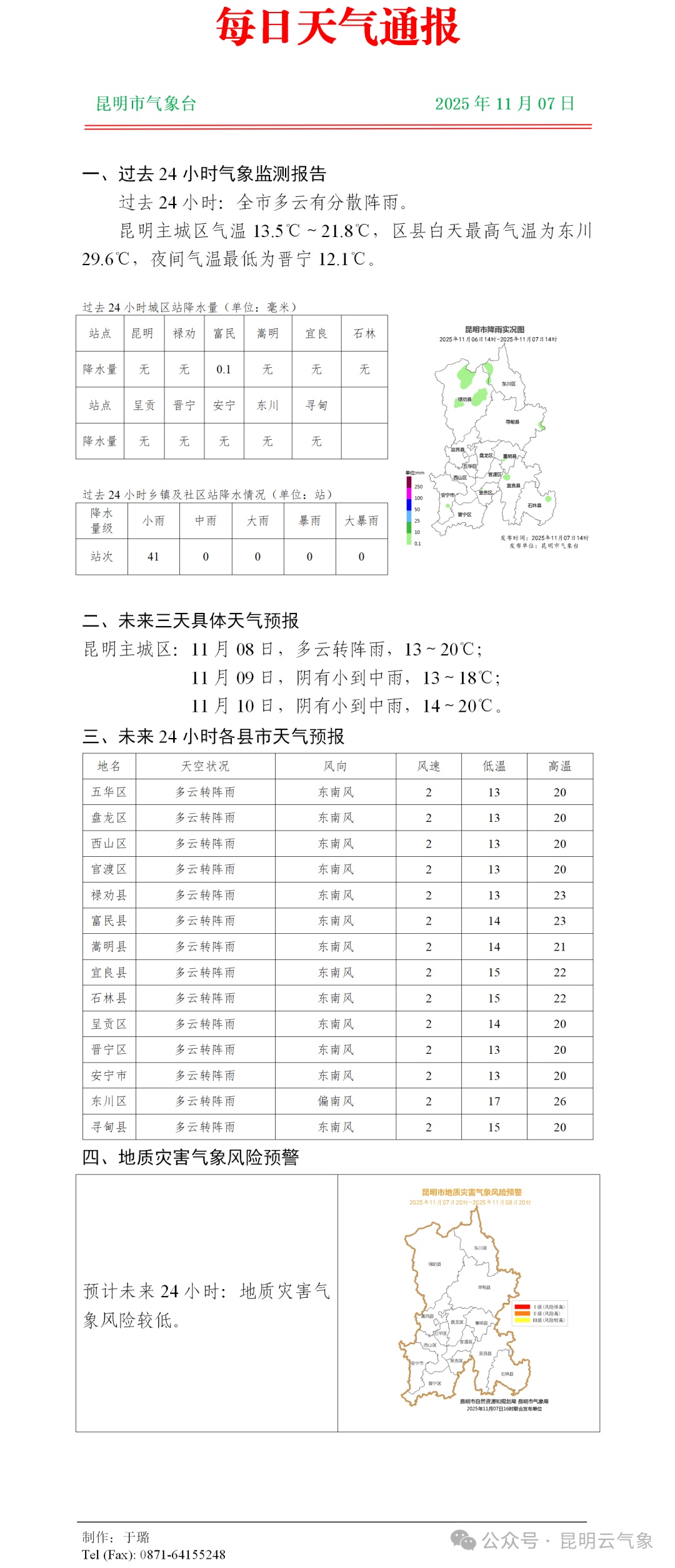
云南天气预报

11月7日20时到11月8日20时
昭通市、曲靖市、昆明市、玉溪市、楚雄州、丽江市东南部、大理州东部、文山州、红河州、西双版纳州、普洱市、临沧市多云转阵雨局部中雨,其他地区多云间晴。
11月8日20时到11月9日20时
西双版纳州、普洱市、玉溪市西部阴有中到大雨局部暴雨,文山州、红河州、曲靖市、昆明市、玉溪市东部、楚雄州南部、临沧市南部、昭通市多云间阴有小到中雨局部大雨,迪庆州、丽江市大部、大理州北部、怒江州多云,其他地区多云有分散阵雨。
11月9日20时到11月10日20时
西双版纳州、普洱市南部、玉溪市南部、红河州南部阴有中到大雨局部暴雨,迪庆州、丽江市、楚雄州西北部、大理州、怒江州、保山市、德宏州多云,其他地区多云有小雨局部中雨。

预计2025年11月7日20:00~11月8日20:00,怒江州贡山县发生滑坡泥石流的风险高;玉溪市西部,保山市南部,楚雄州南部,普洱市北部、中部,大理州中部,德宏州东南部,怒江州北部、中部,迪庆州西南部,临沧市东部、中部和西南部发生滑坡泥石流的风险较高。
昆明天气预报

综合:中国天气网、云南气象、昆明云气象、昆明信息港
点击右上角
微信好友
朋友圈

点击浏览器下方“
”分享微信好友Safari浏览器请点击“
”按钮

点击右上角
QQ

点击浏览器下方“
”分享QQ好友Safari浏览器请点击“
”按钮
