孩子们好奇心强
对未知事物有探索欲
但往往安全意识薄弱
家长务必加强教育和日常看护
避免意外发生
下面这个案例就为我们敲响了警钟
幼童玩火引发悲剧
近日
南宁市邕宁区应急管理局发布
南宁市邕宁区新江镇“3·8”
一般火灾事故调查报告
事故概述
3月8日17时45分许,南宁市邕宁区新江镇021县道与033县道交叉口东北40米耀达门窗铁棚工程部发生火灾,造成2人死亡,直接经济损失约5.3万元。
事故建筑消防产品情况
起火建筑为半砖混加钢架结构,屋盖采用彩钢板临时搭建,建筑内未配置灭火器等任何消防设施、器材。

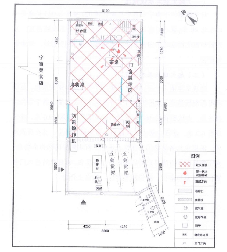
火灾现场一层平面图。图源:南宁市邕宁区人民政府
直接原因
经调查认定:事故的直接原因是孩子玩火不慎引燃周边可燃物造成火灾。
具体原因如下
经反复调查论证,综合分析排除人为放火、电气故障、自然灾害和遗留火种引发火灾的可能,认定起火原因为耀达门窗铁棚工程部小孩玩火不慎引燃周边可燃物造成火灾。

火灾现场阁楼平面图。图源:南宁市邕宁区人民政府
孩子玩火引发的亡人事故
并非个例
孩子玩打火机引发亡人火灾
2022年12月1日,陕西西安凤鸣华府小区发生火灾,造成5人死亡、3人受伤。起火原因为小孩在6号楼1层东侧门厅使用打火机点燃纸张,引燃该门厅西北角放置的杂物起火。


暑期将至
请家长们务必加强
对孩子的安全教育
火源具有极高的危险性
玩火可能导致严重烧伤、火灾
甚至危及生命
以下安全教育关键知识点
快来带孩子一起学习

综合:中国消防 南宁市邕宁区应急管理局人民政府 南宁市邕宁区应急管理局
点击右上角
微信好友
朋友圈

点击浏览器下方“
”分享微信好友Safari浏览器请点击“
”按钮

点击右上角
QQ

点击浏览器下方“
”分享QQ好友Safari浏览器请点击“
”按钮
