春风拂过,连味蕾都跟着换了季。
香椿、槐花、花椒芽……
这些藏在山野间的春日鲜味,只需一炒、一蒸、一拌,就是山西人长在记忆里的春日滋味。
1
第一口鲜:树上“掐”出来的春天

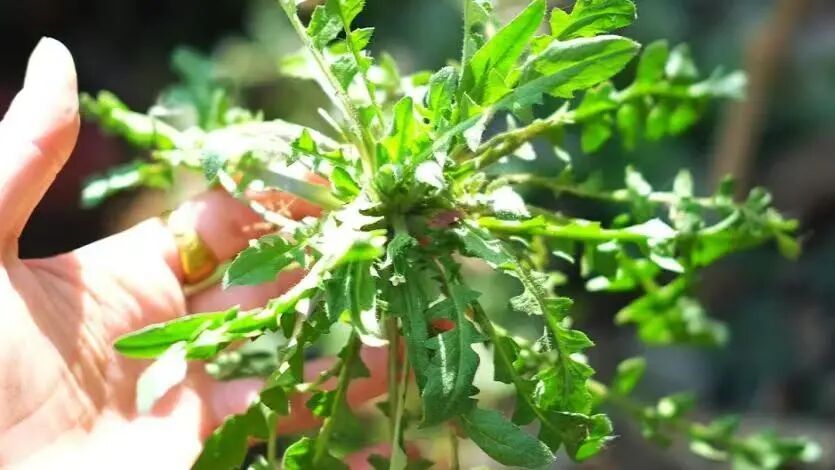
香椿
自带春日限定香气的野菜顶流!
炒鸡蛋,喷香入味;拌豆腐,清鲜解腻。
裹上面糊油炸,便是外酥里嫩的“香椿鱼”,别有风味。
切碎炝拌莜面栲栳栳,当“春天第一鲜”遇上“山西面食之王”,山野气息扑面而来。

花椒芽
山西春日的“小众宝藏”,多生长在太行山间。
鲜嫩的花椒芽带着淡淡微麻清香,卷入筋道薄韧的潞城甩饼——麻香与麦香层层交织,每一口都是街头巷尾鲜活的烟火气,是极具地方特色的春日爽口小吃。
2
第二口鲜:地里“挖”出来的清欢

荠菜
春天里最亲民的“野菜之王”。
《诗经》里就夸它“甘如荠”,天然的谷氨酸让它自带鲜味。
包饺子、裹馄饨、做春卷——荠菜的清香与肉馅一相逢,便是春天最治愈的那一口。

白蒿
学名“茵陈”,是春天最早冒头的野菜之一。
一句“三月茵陈四月蒿,五月砍了当柴烧”,道尽了它的时令金贵。
将挖回来的白蒿择洗干净,搭配葱花、粉条,磕入鸡蛋,拌上面粉,装进笼屉——再铺一层五花肉,便是地道的“麦饭”。
出锅后浇上蒜泥辣椒油,松软绵密,护肝健脾,满口都是老祖宗传下的春日智慧。
3
第三口甜:风里“摇”出来的花香

榆钱
榆钱不仅口感清新,还富含膳食纤维,是名副其实的健康野菜。
春风一暖,榆钱挂满枝头,随手捋下一把,洗净后拌上面粉上锅一蒸,便是朴实又鲜香的家常美味。
无论是榆钱窝窝头,还是榆钱拌面菜,皆是山野本味,裹着绵长的春日念想。

槐花
槐花的季节最晚,也最让人期待。
槐花麦饭、槐花炒鸡蛋、槐花包子,怎么做都好吃。
那股特有的甜香,是任何调料都无法替代的。
每逢槐花开,许多在外的运城人,总会收到家人寄来的干槐花,泡发后蒸一锅麦饭,那熟悉的味道,最能抚平远方的乡愁。
食得春鲜,不负人间。
一方水土养一方人,山西人的春天,是蒸出来的清新,是炝出来的醇香。
你家的春日餐桌,必吃的是哪一口鲜?
文案整理:裴芬芬
点击右上角
微信好友
朋友圈

点击浏览器下方“
”分享微信好友Safari浏览器请点击“
”按钮

点击右上角
QQ

点击浏览器下方“
”分享QQ好友Safari浏览器请点击“
”按钮
