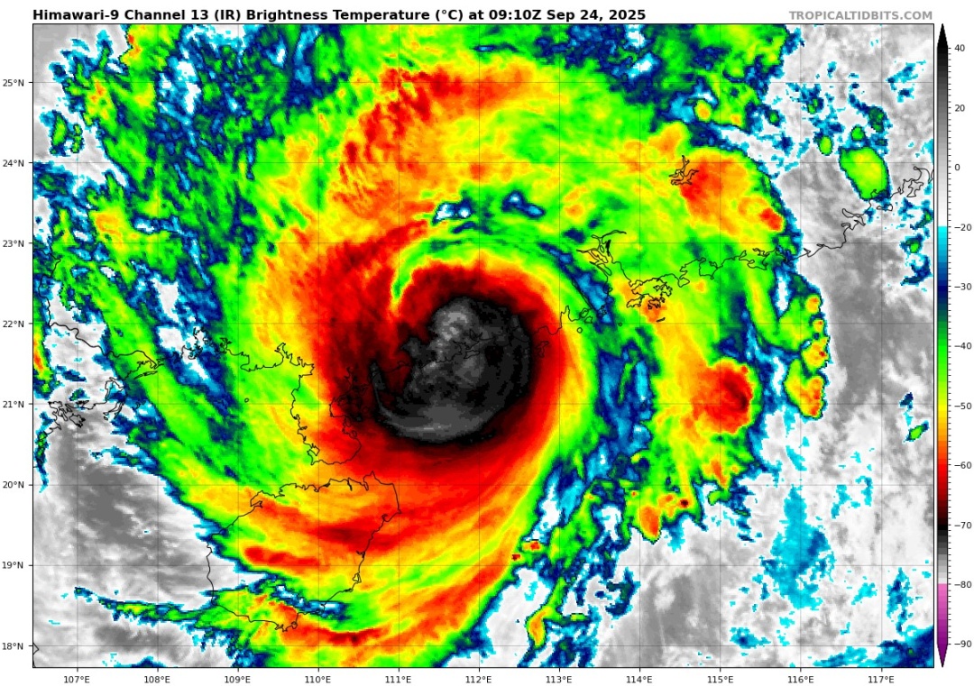
今年第18号台风“桦加沙”( 台风级)的中心
已于今日(9月24日)17时前后
广东省阳江市海陵岛沿海登陆
登陆时中心附近最大风力有13级( 40米/秒)
中心最低气压为955百帕


“桦加沙”为今年来全球风王,并有冷空气联手造雨,台风雨或波及十余省份,华南局地雨量具有极端性。
除此之外,今年第20号台风“博罗依”(热带风暴级)也已经生成,加上19号台风“浣熊”,目前有三个台风共存。“博罗依”将逐渐向菲律宾东部沿海靠近,将于27日进入南海东北海域。该台风也将可能对我国华南一带带来影响。今年秋台风一个接着一个,需格外警惕和关注。

据福州气象,受台风外围影响,福州今天全市阴有小到中雨,局部大雨;明天降水范围缩小,部分乡镇有阵雨或雷阵雨,之后天气会逐渐好转。
今天到本周末气温没有明显波动,市区高温在32℃左右,炎热有了明显缓解。下周开始高温可能会卷土重来,届时还要继续做好防暑降温的措施。

综合:中央气象台、福州气象
点击右上角
微信好友
朋友圈

点击浏览器下方“
”分享微信好友Safari浏览器请点击“
”按钮

点击右上角
QQ

点击浏览器下方“
”分享QQ好友Safari浏览器请点击“
”按钮
