跟着手机短视频学“绝招”
9岁男孩拆下金属笔头当口哨吹
不料笔头竟突然滑进气道
好在医生连夜手术化解危机
武汉儿童医院
近期已经连续收治5例
不慎将笔头吸入气管的病例
都是7~9岁的学龄期孩子
医生提醒
笔头误吸概率高、
引起窒息风险大、取出难度大
千万要当心
男孩支气管里吹出哨音,连夜手术
事发1月12日。当日傍晚,小杰(化名)被父母送到武汉儿童医院看急诊。孩子呼吸有些费力,深呼吸时会从胸部传出口哨音。
他告诉急诊科医生,前段时间正跟着手机上的短视频学习用金属笔头吹口哨,12日上午上课时,他一时兴起,就把笔头拧下来,尖头朝外、螺口朝内,含在嘴巴里,尝试往外吹气。谁知,他刚刚猛吸一口气,笔头就跟着吸进了喉咙。一阵剧烈呛咳后,他出现呼吸费力的情况,稍微一活动就大喘气,然后从胸部发出口哨声。小杰没敢告诉老师,放学回家后才告诉爸爸妈妈,家长连忙带他就医。
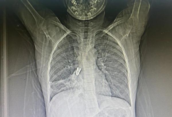
肺部CT检查显示,笔头卡在小杰右侧的支气管深处,仅剩直径2毫米的小孔维持空气流通,影响孩子正常呼吸。随后,小杰被紧急转到医院的耳鼻咽喉科接受治疗。

拍片可清晰看到,男孩支气管内有金属笔头。“金属笔头很易被呛进气道,但是不容易取出来。”耳鼻咽喉科副主任医师李栋介绍,金属笔头是圆锥形,小头朝下、大头朝上,和支气管卡得严丝合缝,很难夹取到,夹取时还要控制好力度,以防对气管造成二次损伤。
做好术前准备,13日凌晨,李栋给小杰做了急诊手术,借助内窥镜深入支气管内,多方尝试后选定夹取角度,再缓缓拉出笔头。术后经过抗炎治疗,小杰于1月18日平安出院。
近期连遇5名“吞”笔头的男孩
武汉儿童医院耳鼻咽喉科接诊记录显示,自2023年12月起,该科已经连续收治5例不慎将笔头吸入气管的病例,都是7~9岁的学龄期男孩。其中一名男孩因为吸入太深,医生用支气管镜尝试多次都没能取出,只好做开胸手术取出笔头,孩子才转危为安。

医生从男孩支气管内取出的金属笔头。
“笔头被同事们一致评为近两个月以来风险极大、发生频率最高且最难取出的异物。”该科住院总医师黄珊介绍,在临床接诊过程中,将笔头、笔盖、笔帽、笔杆上的小塞子等异物吸入气管、支气管的案例都多次遇到,但是笔头误吸的概率最高,引起窒息的风险也最大。这类圆形的异物表面光滑,且上轻下重,不仅容易卡得深,同时也卡得很紧,异物钳可夹取的着力点也很有限,取出时难度很大,对医生的技术要求较高。
为何笔头容易被误吸?
该院耳鼻咽喉科主任夏忠芳分析,儿童的会厌软骨尚未发育成熟,嘴里含着异物时,一旦遭受惊吓,或是大笑、咳嗽时,极易将口含物品吸入气管内,引起气管阻塞。
该院每年接诊约200例异物的患儿,婴幼儿以呛瓜子、小零食等异物较多,而对于学龄期儿童来说钢珠、笔帽、小玩具等异物较多见。不少学龄期男孩喜欢把笔大卸八块,把零部件当玩具玩,更是喜欢含在嘴里玩,十分危险。
她提醒家长和老师,在日常学习、生活中应加强安全监管和安全宣教,让儿童建立安全防范意识,不要随意将有风险的物品放入嘴里、鼻子里、耳朵里。此外,如果不小心呛入气道或其他孔洞里,务必第一时间告知家长和老师,及时就医。
37度里丨长江健康融媒出品 记者:王春岚 通讯员:张璟祎 实习生:晏阳天
点击右上角
微信好友
朋友圈

点击浏览器下方“
”分享微信好友Safari浏览器请点击“
”按钮

点击右上角
QQ

点击浏览器下方“
”分享QQ好友Safari浏览器请点击“
”按钮
