市民任阿姨的哥哥患有严重的认知障碍,无法与人正常交流。但万万没想到的是,他竟在文峰美容美发宛平店和天钥桥店内“被消费”近50次,妹妹们多年来省吃俭用为他积攒的近60万元看病钱、养老钱被掏了个干干净净。
门店不仅派“专人”跟着去银行或取现或转账,还“帮”着他们眼中的“笨爷叔”向支付宝借贷。如今面对许多“去向不明”的糊涂账,任女士和哥哥想维权是困难重重。
50次充值消费
60万元被掏空
任阿姨告诉记者,她的哥哥今年62岁,自小就患有严重的认知和沟通障碍,讲的话只有朝夕相处的家人才能听懂。由于一直未婚,爷叔的经济开销和日常生活都由妹妹们照应,还为他的看病和养老储备了一大笔积蓄。

△任阿姨与她的哥哥
今年7月底,任阿姨突然发现平日里衣食无忧的哥哥竟有支付宝花呗的分期借款无法偿还,细问之下才查知,从2019年起哥哥在文峰美容美发两家门店消费充值近50笔,银行卡里的近60万元已被“掏空”。
采访中,任阿姨的哥哥讲话很吃力,嘴里像是塞满了东西,舌头不听使唤,需要一旁的任阿姨来“翻译”。任阿姨讲,哥哥和她们生活在一起,外出超过一两公里就要家人陪同。2019年,他独自去了家门口的文峰宛平店理发,充值1000元后,便不知不觉一步步“深陷其中”。
任阿姨向记者展示了哥哥与文峰宛平店客服的聊天记录,在对方一次次发来“到店消费”的“催促信息”后,任阿姨的哥哥几乎都无法用文字回复,代之的只有“笑脸”“小花”等表情符号,仅有的两三条语句不通的话加起来才十多个字。
我哥哥的表达能力几乎为零,嘴里嗯嗯呀呀,只能靠简单的肢体语言来交流。文峰的店员明知是这种情况,还要一次次地忽悠他,真是太过分了!


△聊天记录
而从任阿姨替哥哥转述的情况来看,每一次“情面难却”的“照顾生意”,就又是一次“抢逼围堵”的“推销宣传”,就又是一次“无法拒绝”的“巨额充值”。
一天转账金额
竟达11.7万元
在与哥哥的反复沟通中,任阿姨总算为记者理清了事情的来龙去脉。2019年11月,任阿姨的哥哥先是在文峰宛平店办了张1000元的美发卡,可还没等钱用完,一名叫“莹莹”的店员又让任阿姨的哥哥充值了5000元。眼见老人“手头宽裕”,美容部经理周蕊蕊和李琴用一番番口若悬河的“话术操作”,让所谓的“笨爷叔”稀里糊涂地敞开了“钱袋子”。
记者看到,2020年12月25日,任阿姨哥哥的转账金额竟高达11.7万元。
我还查了哥哥的银行卡流水,当天在门店附近的取款机上他又提了2万元现金。哥哥说是店里专门有人陪他去取的钱,但什么凭证都没给。
听着妹妹的叙述,哥哥在一旁不住点头,脸上满是委屈。
2022年8月,宛平店关门,天钥桥店接手了其客户的售后服务,而任阿姨的哥哥又成了这家店的“香饽饽”。今年4月,当店员查觉任阿姨的哥哥“真是没钱了”,竟然让老人继续借贷充值。
他们明明知道我哥哥卡里的钱已经多到根本都消费不掉了,还直接拿了他的手机操作,开通了支付宝的借贷功能!
文峰方面坚称
只能退28万元
记者陪同任阿姨来到徐家汇市场监督管理所,任阿姨向文峰总部负责协调该纠纷的蒋先生明确提出,自己梳理了哥哥的消费明细和银行流水,但与文峰出示的消费记录存在约20万元的差距。针对质疑,蒋先生回称:
文峰宛平店和天钥桥店是加盟店,目前系统后台只能显示任阿姨哥哥在天钥桥店近一年的入账和消费记录。
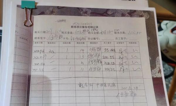
而事实上,在门店提供给任阿姨的“顾客项目服务明细”和“上海文峰全国门店美容项目服务协议书”上都写有,任先生于2020年11月18日充值了2万元“男性肾疗”服务项目,还在2021年2月7日充值了5万元“六合还阳术”。
这许多有着白纸黑字作为凭证的内容,为何会在系统里消失了呢?


△顾客项目服务明细记录
除了上述两笔大额消费,还有不少账目也是“不明不白”:
天钥桥店6.8万元的充值,与任阿姨所掌握的8.78万元电子付款记录,在时间和金额上均不相符;
任阿姨的哥哥曾通过支付宝转账给门店经理31800元,并有对方手写充值凭证为据,但这笔钱没有出现在文峰的收款记录中。
任阿姨还指出,哥哥转账的收款方显示为“常熟市妙胜广告策划有限公司”,仅在商品说明处标注“文峰美容美发(妙胜)”。明明在文峰消费,为何收款方却是外地的广告公司?这其中是不是又暗藏猫腻?

△收款方是外地广告公司
在文峰给到的2020年12月24日“手工记账本”上,将剩余11次的“穴位排淤+艾灸”与22次的“男性肾疗”计入了“十四条经络”。对于这样的操作,任阿姨认为,文峰的项目名称含糊不清,且不在公示的价目表上。蒋先生回复,“十四条经络”就是价目表上的“文峰全身养护金典精油”,具体包括心经、胃经、肺经等14个项目的经脉调理。

△价目表
对此,任阿姨表达了一连串的疑问:
这项“文峰全身养护金典精油”10次服务高达9.8万元,另外收取2000元/套的产品费用,单次价格就达到1万元。是什么样的产品什么样的疗效,可以收取如此高的价格呢?收费是否又有依据或许可呢?
蒋先生表示,该项目“十四条经络”,每条经络单人服务就要收费1000多元,一般会有“多条经络”“多人服务”,他们的自营店里有比这个“更贵”的项目。
仔细核对各项消费支出后,任阿姨算出哥哥在文峰还有45万元的未消费项目。而蒋先生则反馈,只能根据文峰系统后台数据退还28万元。他甚至还称:
任阿姨的哥哥虽然有认知障碍,但既然能连续消费且具备消费能力,这就属于“正常消费”“正常收费”。
在“大众点评”文峰美发美容(天钥桥店)的评论中,记者看到有不少“逼充卡”“套路消费,价格虚高,不断坑老年人钱”“一直推销”的负面评论。
任阿姨和哥哥
到底能不能要回自己的钱呢?
记者将继续关注
转自:新民帮侬忙
点击右上角
微信好友
朋友圈

点击浏览器下方“
”分享微信好友Safari浏览器请点击“
”按钮

点击右上角
QQ

点击浏览器下方“
”分享QQ好友Safari浏览器请点击“
”按钮
