中秋国庆假期已结束
早起搬砖的小伙伴
是否感受到了清晨的凉意呢?

今天早上
我市大部分地区都下起了雨
气温也在22℃左右
这个气温确实有点“秋意”了~

这一抹秋意
其实正是台风“小犬”
为我们送来的
据中央气象台消息
台风“小犬”已于昨日(10月06日)17时
重新升为强台风级别
中央气象台10月7日06时
继续发布台风黄色预警


深圳市气象台已于
昨日15时00分将
全市台风白色预警信号
升级为蓝色

据深圳天气
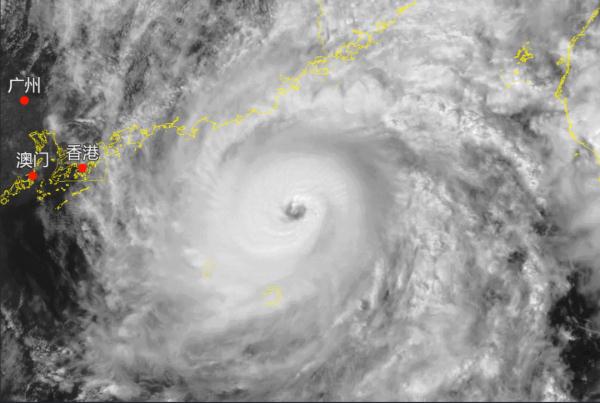
台风“小犬”(强台风级)7日08时
中心位于深圳东南约218公里
(深汕约202公里)的海面上
中心附近最大风力15级(48米/秒)

昨天台风“小犬”
稳定向西南方向移动
强度有所增强
但大风风圈收缩明显

较大可能7-8日
在深圳(含深汕)以南150公里以上
近海缓慢掠过
趋向粤西至海南

经综合研判
深圳(含深汕)台风蓝色预警信号维持
如果路径和风圈没有突变
深圳市气象局不考虑预警升级

未来深圳天气

今日我市阴天,有阵雨,局部暴雨;气温22-28℃;北风5-6级,沿海、高地和海区阵风8-10级;相对湿度65%-95%。
8-9日有阵雨,部分时间降雨频密,局部可达暴雨,沿海、高地和海区最大阵风8-10级;
10-13日多云为主,气温回升。
未来几天有风有雨
大家外出前记得带伞
收好阳台室外悬挂物、关好门窗
室外注意安全,远离广告牌临时构筑物
风大雨大时在安全地方躲避哦!
综合|深圳天气 广东天气
点击右上角
微信好友
朋友圈

点击浏览器下方“
”分享微信好友Safari浏览器请点击“
”按钮

点击右上角
QQ

点击浏览器下方“
”分享QQ好友Safari浏览器请点击“
”按钮
