紧急!紧急!
台风最新速报!
↓↓↓
据最新预计
台风“苏拉”强度已达“杜苏芮”巅峰
“苏拉”可能于9月1日白天
登陆粤闽沿海
最大可能登陆地为广东中东部沿海
登陆强度可能为强台风级
甚至超强台风级!
需警惕强风雨天气
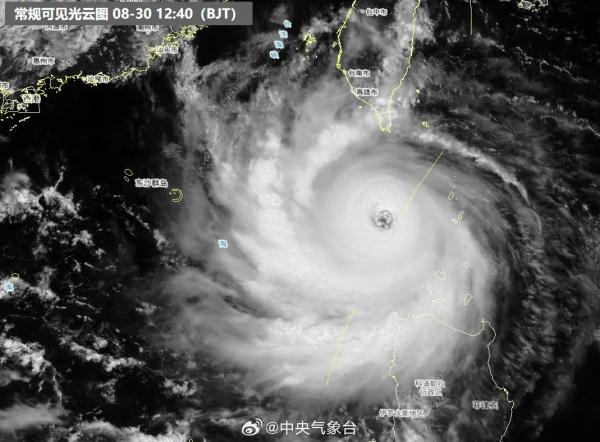
(点击图片查看台风实时路径↓)

狂风暴雨已发货
所有人注意!!!
↓↓↓


来近距离看看这家伙
“苏拉”正中穿过巴士海峡,丝毫无损!
越美丽越危险
粤闽沿海请做好准备!

更刺激的是
双台共舞
“海葵”“苏拉”开启二人转模式
台风“海葵”继续西偏北方向移动
趋向浙江沿海!!
强度最强可达强台风级

台风来临前
厦门海上风浪逐渐加大
8月30日12时起
47艘游艇陆续
从五缘湾水域编队前往预选避风点
厦门海事局派出海巡艇现场护航
当前厦门海域海上风浪逐渐加大
游艇、帆船等休闲娱乐活动
目前已全部停止
厦门港内503艘休闲船艇
按计划进入避风状态
↓↓↓

“苏拉”实力不容小觑
受其影响
厦金航线、泉金航线、厦漳轮渡停航!
厦金航线、泉金航线全天候停航
因受台风“苏拉”影响,接相关部门通知,2023年8月31日 (星期四) 起,厦金航线、泉金航线全天候停航,复航时间根据台风情况另行通知。

厦漳轮渡发布停航公告
受2023年第9号台风“苏拉”影响,为确保安全,自2023年8月30日17:30起(厦门旅游客运码头末班航班为17:00;漳州港长海客运码头末班航班为17:30),暂停厦门旅游客运码头往返漳州港长海客运码头航线的海上客运航班,复航时间另行通知。因此给您的出行带来不便,敬请谅解!

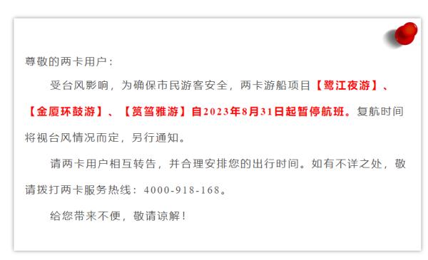
厦门旅游年卡(户外运动卡)游船项目暂停开放!
受台风影响,为确保市民游客安全,两卡游船项目【鹭江夜游】、【金厦环鼓游】、【筼筜雅游】自2023年8月31日起暂停航班。复航时间将视台风情况而定,另行通知。

裹挟狂风暴雨!
超强台风“苏拉”逼近闽粤沿海!
福建将……
“苏拉”未来走向如何
将给福建带来
怎样的风雨影响
来福建省气象局首席服务专家黄志刚怎么说
据黄志刚介绍,目前季风低压控制着菲律宾以东洋面和我国南海海域,低压区内除了“苏拉”和“海葵”两个台风之外,还有一些热带云团在不断产生和消失。“苏拉”台风东侧有高压系统的推挤作用,靠近陆地后会受陆地影响,还有“海葵”与其风场之间的相互牵引拉扯。这些都导致“苏拉”台风目前移动速度相对缓慢,路径摇摆不定。预计“苏拉”将以每小时10公里左右的速度向西北方向移动,31日早晨进入台湾浅滩渔场,逐渐向福建南部到广东东部一带沿海靠近,可能于9月1日白天在上述沿海登陆陆(台风级或强台风级,13~15级),也有可能在闽粤近岸海面向西偏南方向移动。
“苏拉”对福建风雨影响如何?黄志刚解释,当前“苏拉”台风结构非常扎实,暴风圈收缩在中心附近,即当台风较靠近陆地的时候,风雨的影响才会显现。我省受威胁最大的是闽南地区,尤其是漳州沿海县市,要做好防范12级以上强风和特大暴雨的准备。泉州以北的沿海地区,虽离台风中心距离比较远,仍需持续保持关注。
福建省气象台预计,30日,福建全省多云到阴,大部有阵雨或雷阵雨,局部大雨到暴雨。31日,全省阴,大部有中雨到大雨,南部沿海地区部分有暴雨到大暴雨,局部特大暴雨;其余地区局部有暴雨。9月1日,全省阴,大部有阵雨或雷阵雨,南部地区有中雨到大雨,部分暴雨,局部大暴雨;其余地区局部有暴雨。
今天至9月1日我省渔场和沿海海区,31日至9月1日南部地区部分县市,将有高危险等级的台风大风灾害风险。相关区域航行或作业的船只应及时回港避风或避开影响区域,同时需做好滨海旅游和沿海养殖的安全管理工作,需注意防范陆上强风对城乡基础设施和工程设施的危害。
此外,31日到9月1日,福建南部地区有高危险等级的台风暴雨灾害风险,需注意防范台风强降水可能引发的山洪、中小流域洪水和城乡积涝、塌方、滑坡、泥石流等次生灾害。途经过泉州、厦门、漳州和龙岩的部分路段有高等级的交通气象风险区,请旅客们注意防范。
暴击!暴击!
暴雨即将抵达厦门
厦门小伙伴们
请做好准备
明起
厦门将出现明显的降水
局部有大暴雨!
随着“苏拉”的靠近
厦门的风力将逐渐增强
明天起至9月2日
将出现明显的降水过程
局部有大暴雨!!

01
天气方面
据气象部门预报,今天厦门还将有分散性雷阵雨,气温变化不大。明天起,厦门将出现集中的降水过程,阴天转大雨到大暴雨。由于台风“苏拉”的云团较为集中,很可能会出现风雨骤至的情况,降水将持续到本周六。
02
气温方面
今天厦门还将有分散性雷阵雨,气温变化不大。
受雨水影响,9月1日市区最高气温预计将降至29℃左右,最低气温在26℃上下。
综合 中央气象台、厦门气象、福建气象、厦门天气在线、厦门广电、东南网、厦门旅游年卡等
点击右上角
微信好友
朋友圈

点击浏览器下方“
”分享微信好友Safari浏览器请点击“
”按钮

点击右上角
QQ

点击浏览器下方“
”分享QQ好友Safari浏览器请点击“
”按钮
