夏日酷热难耐,高温不仅让人身体不适,还带来日常生活与饮食中的特有难题。夏天气温居高不下,物品极易变质,这些问题切不可小觑。
近日,云南大理,一女子起床喝前一晚上放在客厅的水,喝了半杯才发现水里有东西,后来上网查了才知道那是蚊子卵。施女士提醒,没喝完的水一定要盖盖子,或者不要喝隔夜水。
遇见这样状况的网友
还不在少数
图源小红书
那这些“料”究竟是什么呢?
其实这并非一条虫
而是“摇蚊”的卵块儿
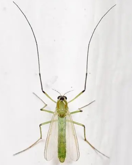
摇蚊是什么?
摇蚊是一类十分常见、耐受性极强的水生昆虫,在各类水体中均有广泛分布。虽然也叫蚊,但摇蚊和我们平常说的普通蚊子属于不同生物类别。它的口器不像蚊子那么发达,不吸血,但会下点“料”。
虽说会被蚊子“下料”,但也别太过担心,只要家里蚊子数量不多,首先被下料的几率很小;其次,即便误喝了带有虫卵的水,也并不会对人体造成伤害。
另外,虽然不吸血,但摇蚊却会在你头顶不停盘旋。摇蚊成虫有集体团舞的习性,也叫“婚飞”,而且它们对二氧化碳、热和汗水十分敏感,能在一定距离内感知到恒温哺乳动物的存在,具有追踪这些动物的本能。
所以当你运动行走时,它们就会在你身边或头顶上空,成团飞舞,开“相亲大会”。
图源小红书
更不可忽视的是,蚊子的繁殖能力极强,不论河湖还是家中的花瓶、鱼缸,只要有点儿水就行。隔夜的水杯,正是因此被它加了料。
摇蚊卵刚产出时,会被一层灰色胶质卵鞘包裹,卵鞘充分吸水后,变成有黏性的透明“果冻”。一团“果冻”里,常包裹着几百枚摇蚊卵。摇蚊宝宝孵化出来,第一餐就吃“果冻”。
家里老有蚊子?
别忘清理这些环境"死角"
蚊的发育属于完全变态发育,生活史分4个时期,分别为卵、幼虫、蛹和成虫。前三个时期生活于水中,成虫则生活于陆地。蚊的幼虫俗称“孑孓”,口器两侧有细长密集的口刷,在水中迅速摆动以摄取食物。
影响蚊子密度的因素主要是气候和环境,除了合适的气候,还需要适宜的水孳生环境,因此疾控专家特别提醒:做好各类环境中水的管理,也能有效降低蚊子的密度与叮咬。
家中防蚊别忽视这些环境“死角”,以免造成蚊子滋生。
1.居民家庭花瓶和水养植物至少每星期彻底换水一次,要彻底清理空调托盘、花盆底碟(托盘儿)积水,有盖子的盖上。
2.定期检查卫生间和厨房的地漏或者更换具有防渗等功能的安全地漏,保持地漏处无积水,并时常喷洒杀虫剂,不给蚊子生存空间,垃圾桶应加盖。
3.清除各种废旧杂物,将可能积水的容器进行彻底清理。盆景、喷水池、养鱼池等各种社区室外景观水体要全面清理垃圾漂浮物并经常换水。如是需要储水,也要盖好盖子,水体存放不超过7天。
4.排水沟保持无积水,下水井盖可使用防蚊贴。定期检查地下室,及时排除积水,防止蚊虫滋生,定期疏通居民楼天台等处排水孔及管道,雨后应及时清疏,避免积水。
隔夜水能不能喝?
网传隔夜水不能喝是因为其中有亚硝酸盐,食用过后会出现食物中毒?但专家表示,一般情况下即便是隔夜水,亚硝酸盐的含量也是在健康的范围之内的,并不会给我们的身体健康带来威胁。水能不能喝,跟是否隔夜关系不大,主要看水的放置时间和保存环境。水烧开后,盖好盖子或者放入暖水壶中保存,在两天内喝完一般也是安全的。
喝水,看似是大家每日必做的简单之事,可你真的掌握正确的喝水方法了吗?不少人对喝水的认知,还仅仅停留在解渴这一基础层面。实际上,饮水堪称一门学问,饮水卫生、饮水量以及饮品的选择,每一项都与健康息息相关。深入了解饮水知识,养成健康的饮水习惯,不仅能够有效提升生活质量,还对预防疾病有着重要意义。
来源: 大江网





