众所周知
能和广东人什么都吃
同样出名的刻板印象
还有一个就是
广东人都是骑着蟑螂出门的
而且广东的蟑螂
还会飞
通常发现一只
你的房子其实就已经被占领了
蟑螂毕竟是害虫
想要一个比较健康卫生的环境
必须把蟑螂的数量控制在一个
可控的范围内
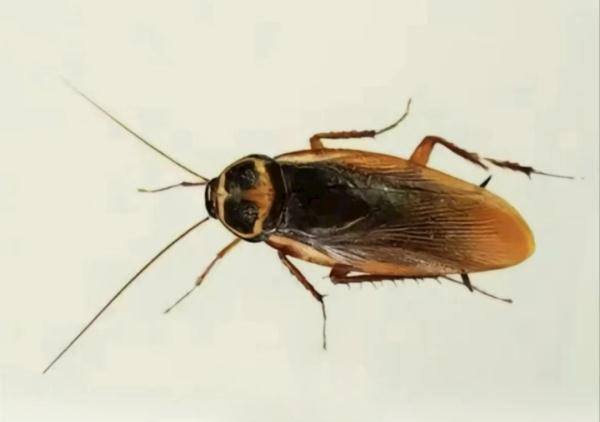
01
美洲大蠊
美洲大蠊是居民住宅、单位等下水道的优势种群,主要居于户外,室内也有出没,能携带多种病原体传播疾病。
前方高能
害怕的朋友慎点
图/公众号@腾冲市农村农业局
02
德国小蠊
德国小蠊,是分布最广泛,也是最难治理的一类世界性家居卫生害虫。
由于德国小蠊适应性强、繁殖快,因而对其防治难度很大。
前方高能
害怕的朋友慎点
图/公众号@广东疾控
03
澳洲大蠊
澳洲大蠊主要分布在热带和亚热带地区,在我国大多分布于福建、广东、广西、海南、四川等省。
在我省城镇各种蟑螂中,澳洲大蠊约占10.92%,繁殖力强、适应性强,能传播多种病菌和寄生虫。
其栖息活动场所与美洲大蠊相近,主要栖居在宾馆、饭店、旅馆、医院、食品仓库、粮油食品店、市场、家庭等处。
前方高能
害怕的朋友慎点
图/公众号@石家庄清洁服务行业协会
04
黑胸大蠊
黑胸大蠊是体形较大的一种蟑螂,体长23~35毫米。其繁殖环境对温度要求不高,分布较广。
栖息地以厨房为主,昼伏夜出。喜食糖类、淀粉类食品,在卧室中的衣橱、书架、桌子等也有发现,尤其是旧家具中。
前方高能
害怕的朋友慎点
图/公众号@凯瑞虫控
01
骚扰人类
蟑螂密度高且天气炎热时,其活动范围增大,会骚扰人们休息,甚至主动侵袭婴幼儿。
02
引起过敏反应
蟑螂的分泌物可引起或加重哮喘。
蟑螂其实是最脏的生物之一,它们会携带多种致病菌。如:痢疾杆菌、绿脓杆菌、变形杆菌、沙门杆菌、伤寒杆菌、病毒、霉菌、寄生虫卵和原虫等多种病原微生物。此外,蟑螂还可携带多种原虫,对人或动物有致病性的痢疾阿米巴虫、肠贾第虫等。
首先,一脚下去,有可能没能踩死。蟑螂比恐龙还生的早,生存能力极强。它是节肢动物,身体遇压就缩,能轻松从你鞋底穿过,甚至断头了也不会马上死去。就算弄死了把它冲到马桶里,蟑螂身体表面有蜡质分泌物的产生,也很难被淹死。
其次,小蟑螂是从卵鞘中孵化出来的。卵鞘很硬,里面有很多卵。有的雌蟑螂会把卵鞘产到隐蔽的地方,有的则会随身带着卵鞘。一脚下去,没有及时清理,这些蟑螂卵就有可能随着你的拖鞋遍布家中,并且继续生长。
所以,想让蟑螂“死透”,注意这4点:
01
要用力
要踩到爆浆,同时确保卵鞘被踩爆;
02
要消毒
用酒精消毒,并清理蟑螂被踩死的地面和鞋底,特别是被爆浆的地方,因为浆液里有细菌;
03
要毁尸
踩死后,将卵鞘用火烧、水烫或用纸巾包裹后压烂销毁,确保彻底杀灭蟑螂卵;
04
直接用杀虫剂
对于看到的蟑螂,可以用气雾罐喷杀,隐藏的蟑螂可以利用蟑螂屋、蟑螂毒饵,杀蟑更高效,且减少爆浆污染环境。
要知道,蟑螂是用长在身上的气门呼吸的,也就是说它的血液系统在供氧这一方面并不是那么重要。蟑螂被砍头后大概还能活一周时间,主要是没了嘴巴被活活饿死的。在有水的情况下,蟑螂三个月不吃东西也能维持生命。
图/公众号@奥力虫控
除了直接用拖鞋拍死,长久以来,人类都研究了很多消灭蟑螂的方法,下面是几个比较常见的,大家可以去试一下:
01
烫杀
厨房操作间、餐厅、食品饮料生产加工车间、仓库等是蟑螂喜居的场所,也是慎用化学杀虫剂的地方。因此,使用开水或蒸气直接浇灌各种缝洞和角落,烫杀隐藏在其中的蟑螂和卵鞘不失为一种经济、简便的方法。
02
烟雾熏杀
烟雾熏杀具有扩散和渗透性能好的优点,能快速杀灭隐藏在缝洞中的蟑螂,但对卵鞘作用不大。适用于密闭的仓库、地下室、下水道以及环境复杂、内部物品多的场所。因此,为了杀灭残存的成虫和新孵化的若虫,一般需间隔一个月再重复处理一次。
烟雾通常由烟雾剂经过烟雾发生器的高温而产生,也可通过杀虫烟雾弹或用杀虫烟剂(点燃助燃剂)而产生。
图/公众号@凯瑞虫控
03
杀蟑胶饵
胶饵是一种毒饵,原理是引诱蟑螂吃带有杀虫剂的诱饵,具有使用简便、有效、价廉和不污染环境等特点。 蟑螂吃了后不会立马身亡,等回到窝里才毒发身亡,中毒的蟑螂回窝后会兴奋地抽搐、呕吐,而蟑螂有吃同伴粪便、呕吐物和尸体的习惯,这样有毒物质就会“螂传螂”,一传十、十传百地在整个蟑螂窝里迅速蔓延。目前常用的毒饵的主要剂型有水剂、片剂、颗粒、糊剂等。胶饵“杀蟑不伤人”,对人体也安全,是家庭、机关单位、办公室、学校等场所常用的灭蟑方法。
图/公众号@广东省有害生物预防控制中心
04
终极大招:保持卫生
断水:清理家中积水,晚上要注意抹干灶台的水渍;
断粮:把家里能吃的封存,藏起来,厨余垃圾千万别过夜,厨房清理要彻底。
杜绝栖身之地:门、窗要安装纱窗,有缝隙的话,要贴密封条;家里大大小小的缝隙要封堵住;纸皮杂物也要及时清理掉。
如果以上技巧都没用的话
建议选择专业的除虫公司
半年一次效果最佳
综合:广东疾控、深圳疾控、广州疾控i健康、深圳卫健委、大兴科普、博物、科普广州
来源: 广州新闻电台











