台风“玛娃”
又近了!更强了!
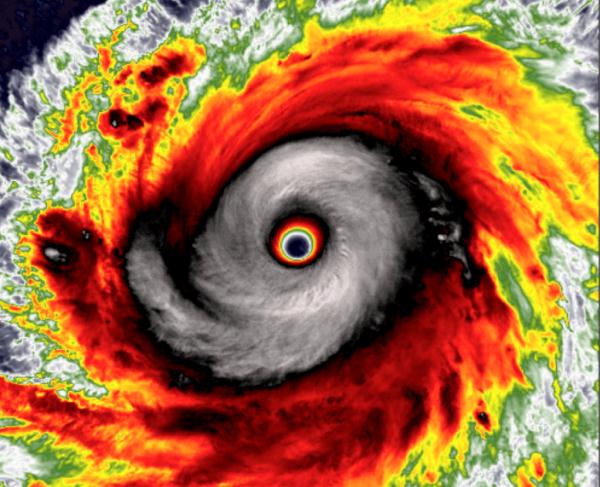
今年第2号台风“玛娃”(Mawar)(超强台风级)的中心今天(5月27日)上午5时位于菲律宾马尼拉偏东方大约1450公里的西北太平洋洋面上,中心附近最大风力有17级以上(68米/秒),中心最低气压为905百帕。
风速高达68米/秒!
连中央气象台都表示:相当强悍!
来看过去17小时
向日葵9号卫星
拍摄的超强台风“玛娃”高速旋转的风眼
按照这个强度
“玛娃”已经将“摩卡”“弗雷迪”远远甩在身后
成为2023年迄今的全球风王
另外,在官方有可比性的评价体系里
它也超过了2000年台风“达维”
1971年的台风“艾米”
成为西北太平洋的5月风王
划重点↓
“玛娃”预计将会在
今明两天达到其巅峰强度
下周将影响我国南方天气
预计,“玛娃”的中心将以每小时25公里左右的速度继续向西偏北方向移动,逐渐向菲律宾吕宋岛以东洋面靠近,强度还将有所增强,29日以后逐渐转向偏北方向移动,移速明显减慢,强度逐渐减弱。
上海天气
根据上海中心气象台发布的数据,徐家汇站昨天全天气温在22.1℃至26.1℃之间,又是符合气象学入夏标准的一天。而接下来几天,气温还将进一步升高,看来这波“冲刺”入夏有希望了。
据预测,今天本市多云到阴,南到东南风4至5级,全天气温在23℃至31℃,气温比昨天高了不少、体感偏热。未来一周,申城处在副热带高压边缘,云系较多,多阵性降水,气温也在慢慢回升中,预计最高气温将出现在下周一,可达33℃,最低气温也都在20℃以上,轻松满足入夏标准,看来这次夏天真的要来了。
不过,这几日天气还有不少变化。受雷暴云团影响,昨天清晨,本市大部分地区出现明显降水过程,并伴有雷电,触发了暴雨蓝色预警信号和雷电黄色预警信号。其中,1小时雨量最大出现在宝山区友谊路街道,凌晨4点26分到5点25分雨量达到63.1毫米。
另外,记者从市气象局获悉,今年第2号台风“玛娃”昨天14时位于我国台湾省花莲市东南方向的西北太平洋洋面上。预计将以每小时25公里左右的速度向西偏北方向移动,强度先减弱,尔后有所加强,并逐渐向台湾以东洋面靠近,明天以后将逐渐转向偏北方向移动,强度逐渐减弱。目前来看,“玛娃”后期对华东沿海海区有一定风雨影响,对上海没有直接影响。
作者丨张天弛
来源: 文汇报




